Proposen construir habitatges, jardins i centres escolars per omplir el buit al costat de l'antiga Fe
L'Ajuntament de València protegirà com a Bé de Rellevància Local l'antiga Presó de Dones construïda entre 1922 i 1925
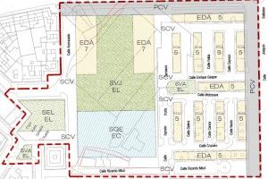
La Regidoria de Desenvolupament Urbà ha iniciat l'avaluació ambiental simplificada del Pla de Reforma Interior (PRI) Ramón Porta Carrasco, una actuació que permetrà resoldre un buit urbà a esquena de l'antic complex sanitari de la Fe de Campanar. L'espai, que mantenia una reserva de sòl per a zones verdes, centres educatius i ser-vicis públics, romania sense urbanitzar des de l'aprovació del planejament urbanístic de València en 1990. Es tracta d'una poma de 47.750 metres quadrats delimitada pels carrers Pare Ferris, Joaquín Ballester, Ricardo Micó i la Plaça Poeta Salvador Rueda, en el barri de Tendetes.
La iniciativa de l'àrea de Desenvolupament Urbà que dirigeix la vicealcaldessa Sandra Gómez permetrà ordenar i urbanitzar aquest espai després de més de 30 anys sense desenvolupar, integrant-lo a més amb el nou Complex Sanitari Ernest Lluch. Les noves dotacions i edificacions previstes pal·liaren els dèficits urbanístics del barri quant a zones verdes de proximitat i habitatge de promoció pública.
La proposta que introdueix el Pla de Reforma Interior Ramón Porta Carrasco, la documentació ambiental del qual ha aprovat la Junta de Govern, consisteix a fixar una reserva escolar de 4.500 metres quadrats a l'oest de l'actuació, resguardada del soroll del trànsit de l'avinguda de Burjassot i encarada al clos de l'antiga Fe i futur complex sanitari Ernest Lluch. En el centre de l'àmbit es preveu localitzar una gran zona verda de 6.300 metres quadrats, i al costat de l'Avinguda Burjassot, dos blocs lineals de set plantes, pensats per a la construcció d'habitatges com a transició entre els edificis existents al nord i sud de l'actuació. Aquests blocs permetran atendre part de la demanda d'habitatge protegit per al barri de Tendetes. El PRI realitza, a més, dues reserves de zona verda destinades a jardí públic de proximitat que completaran les necessitats detectades en el barri.
L'ordenació proposada té en compte criteris mediambientals com l'assolellament d'habitatges, la prevenció de l'efecte illa de calor i la plantació d'arbratge. Els espais lliures i zones verdes s'agrupen a més de forma que generen espais segurs i confortables per als veïns i veïnes. Tota l'actuació segueix els criteris de ciutat 15 minuts i de regeneració urbana que impulsa la Regidoria de Desenvolupament Urbà per a millorar la qualitat de vida dels veïns de tots els barris de la ciutat.
La Junta de Govern, d'altra banda, també ha aprovat una modificació puntual del PGOU que permetrà el canvi de qualificació del Centre Juan de Dios Montañés de Russafa, que passarà d'Educatiu a Servei Públic. La modificació s'ha desenvolupat a conseqüència d'una iniciativa promoguda per l'Institut Valencià d'Atenció Social-Sanitària (IVASS) que té com a objectiu convertir l'edifici en un centre assistencial i administratiu‐institucional.
L'àmbit de la modificació correspon a l'edifici del Centre Juan de Dios Montañés i Álvarez, situat en el barri de Russafa, al carrer del Pintor Salvador Abril, amb una superfície de parcel·la de 1.404 metres quadrats i una superfície total construïda de 1.773 metres quadrats. El canvi no afecta a la protecció de l'edifici, que es manté.
D'acord amb el programa de necessitats del IVASS, es permet així la creació d'un Centre d'Atenció Precoç (CAT), un Centre de Recursos per a la integració a la vida independent de persones amb diversitat funcional, i albergar les dependències de la Unitat Administrativa de Tuteles del IVASS. S'aconsegueix així facilitar la implantació d'un nou equipament d'atenció sanitària i social, alhora que es conserva el patrimoni del barri de Russafa.
Presó de dones
La Junta de Govern Local també ha donat el vistiplau a la documentació d'avaluació ambiental simplificada per a la modificació del Catàleg Estructural de Béns i Espais Protegits que incorporarà les fitxes de protecció de l'Antiga Presó de Dones i el denominat Mòdul de Llotja de Fira València com sengles Béns de Rellevància Local. La declaració d'un Bé de Rellevància Local permet adoptar les mesures urbanístiques necessàries per a conservar la seua integritat i els seus valors culturals. Totes dues actuacions responen a la revisió del planejament i el Catàleg de Béns Protegits de la ciutat que impulsa l'àrea d'Urbanisme per a posar en valor el patrimoni de tots els barris de València i la memòria de nostra ciutat, facilitant a més el seu ús per la ciutadania.
L'antiga presó provincial de dones de València alberga en l'actualitat el Col·legi Públic 9 d'Octubre. És un complex arquitectònic format per tres edificis que ocupen una parcel·la situada en el barri de Nou Moles, entre el carrer de Torres, el Passeig de la Petxina, el carreró Patriques i el carrer Democràcia. Va ser construït entre els anys 1922 i 1925, i va complir la seua funció com a presó fins que, l'any 1991, la població reclusa va ser traslladada a les noves instal·lacions de Picassent. L'any 2008 va ser objecte de remodelació per a acollir les instal·lacions de l'actual col·legi públic 9 d’Octubre.
El principal valor del conjunt està en el seu interés immaterial i històric, ja que és el primer i únic immoble dissenyat en exclusiva per a presó de dones en tota la història de la ciutat. És per això que es proposa el seu reconeixement com Bé de Rellevància Local amb la categoria de Lloc Històric d'Interés Local. Amb la declaració es manté la protecció actual de l'edifici, de nivell 2, que permet en el futur qualsevol actuació de modernització o reforma, de manera que s'assegure sempre el futur ús de l'edifici, en aquest cas com a col·legi.















